Family settlement partition plan and site plan details dwg autocad drawing .
Description
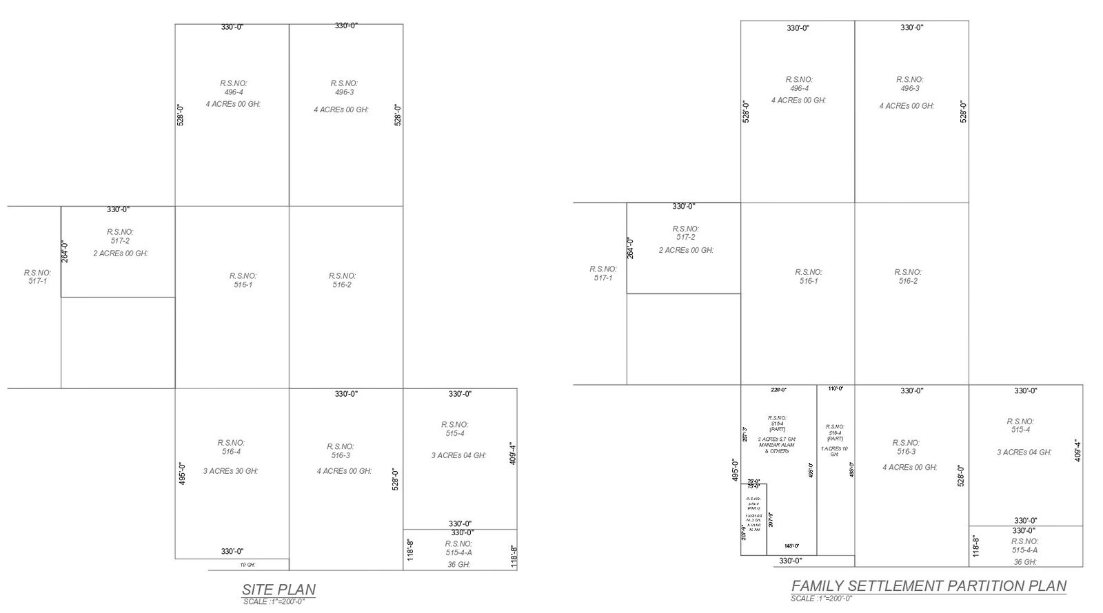
Explore the intricacies of family settlement with our detailed DWG Autocad drawing, featuring partition plan and site plan details. This drawing provides a comprehensive depiction of plot details and site analysis, facilitating a clear understanding of the spatial layout. From furniture specifics to elevation and section details, every aspect is meticulously illustrated, aiding in efficient space planning and floor layout. Architects and planners can utilize this drawing to visualize column details, section specifications, and façade designs crucial for creating functional living spaces. Whether for villa or bungalow designs, or broader urban planning projects, this drawing serves as a valuable resource for society development endeavors. Access our DWG file to delve deeper into family settlement planning and streamline your design process effectively.

Uploaded by:
Eiz
Luna

