Site plan of office area with architectural view dwg file
Description
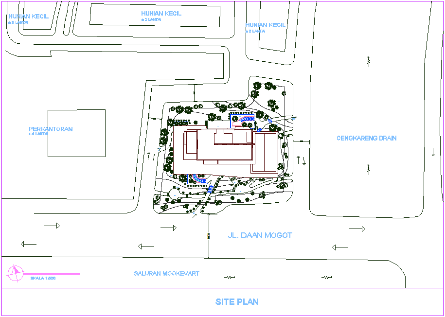
Site plan of office area with architectural view dwg file in plan with view of area distribution and view of road view and parking area,tree view,building wall view with necessary detail and dimension in site plan of office.
Uploaded by:

