Working top view 2d road plan details
Description
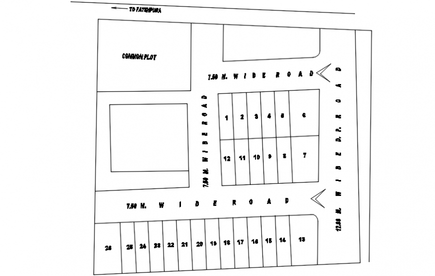
Working top view 2d road plan details. here there is top view road plan structure detail with unit measurements and departments with construction detail in auto cad format
Uploaded by:
Eiz
Luna
Working top view 2d road plan details. here there is top view road plan structure detail with unit measurements and departments with construction detail in auto cad format
Uploaded by:
Luna