Simple Ground Floor Design With Plants Architecture Drawing
Description
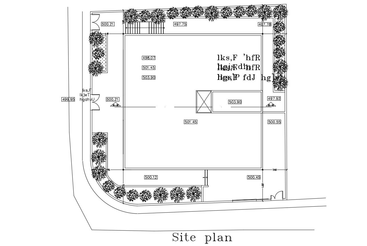
this is the ground floor planning with levels marking in the margin, plantation design in periphery, gate entry design, some steps in margin and much more other details related to drawing.
Uploaded by:
Rashmi
Solanki

