Site plan and space planning for sub division plan ground floor design dwg autocad drawing .
Description
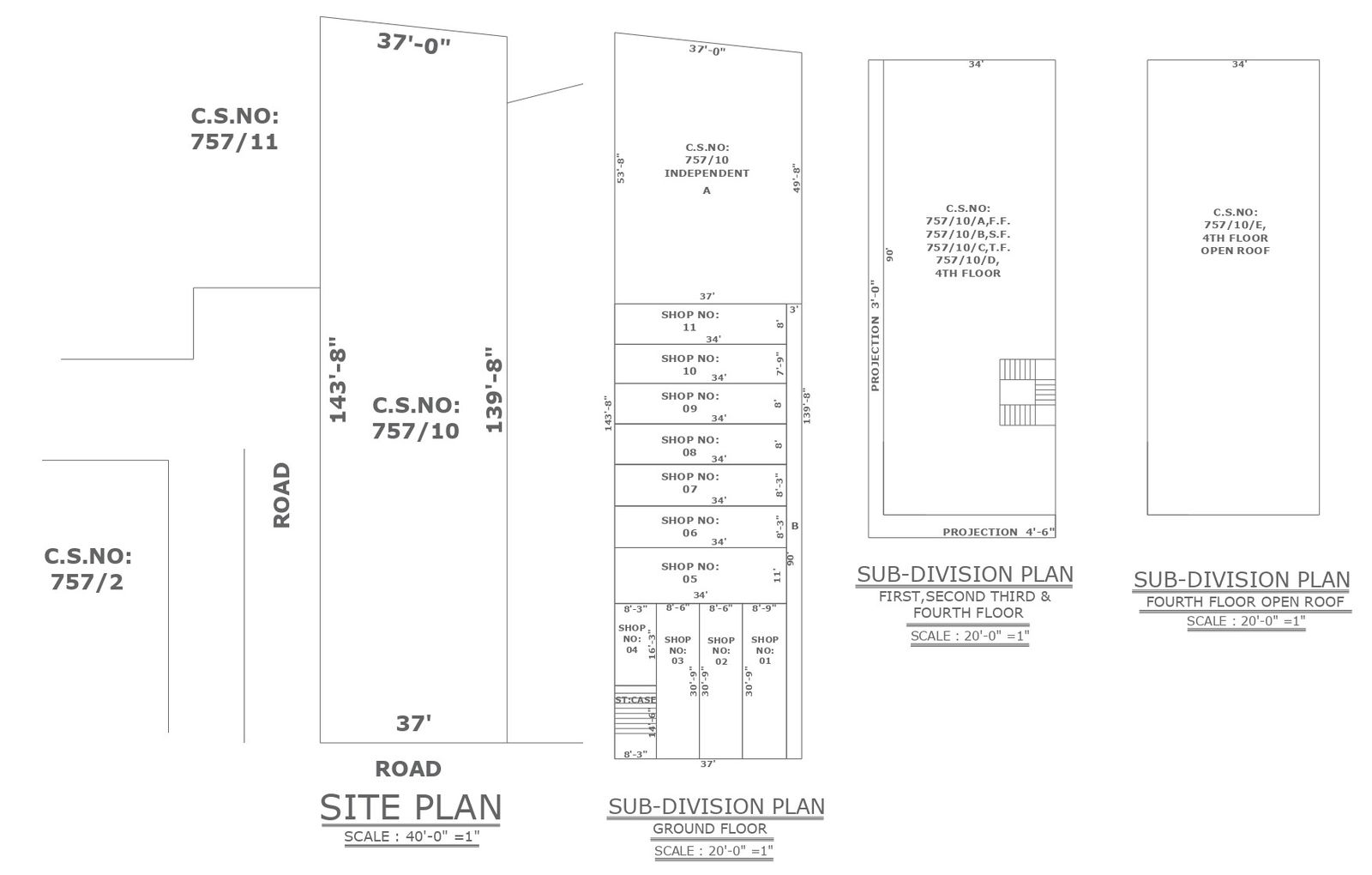
Our Autocad DWG drawing offers a comprehensive view of the ground floor design for a subdivision plan, incorporating both site planning and space allocation. Detailed plot analysis and site assessment are included, ensuring thorough consideration of the project's surroundings. The drawing encompasses meticulous space planning, providing insights into how the available area is efficiently utilized and organized. Additionally, it includes floor layout details, enabling a clear understanding of the spatial arrangement within the subdivision. With attention to elevation and section details, as well as furniture placement, the drawing offers valuable insights for architects, urban planners, and designers. Whether you're conceptualizing a residential community or a commercial development, this drawing serves as a valuable resource for streamlining the planning process. Download our DWG file to access detailed design guidance for your subdivision project.

Uploaded by:
Liam
White

