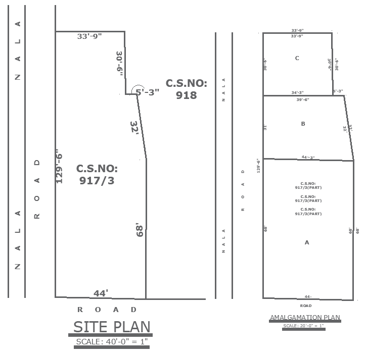
129 feet by 44 feet dummy plot design with site analysis dwg autocad drawing.
Description
This Autocad drawing presents a detailed plan for a dummy plot spanning 129 feet by 44 feet, complete with comprehensive site analysis. It offers meticulous plot details and site analysis, essential for understanding the terrain and surroundings. Additionally, the drawing includes furniture details, elevations, sections, and space planning layouts, providing architects and designers with valuable insights into optimizing functionality and aesthetics. With detailed floor layouts and column specifications, the drawing facilitates efficient urban design and development. Furthermore, it incorporates façade design architecture details, enhancing the overall visual appeal and structural integrity of the proposed project. Available in Autocad DWG format, this drawing serves as a valuable resource for professionals involved in various design projects, including house plans, home plans, bungalow plans, and villa designs. Its comprehensive nature contributes to society's development by fostering thoughtful and well-executed urban design initiatives.

Uploaded by:
Liam
White

